Bouwgrond open bebouwing
Olen
€ 180 000
Bouwgrond
Schommenstraat lot 2, 2250 Olen
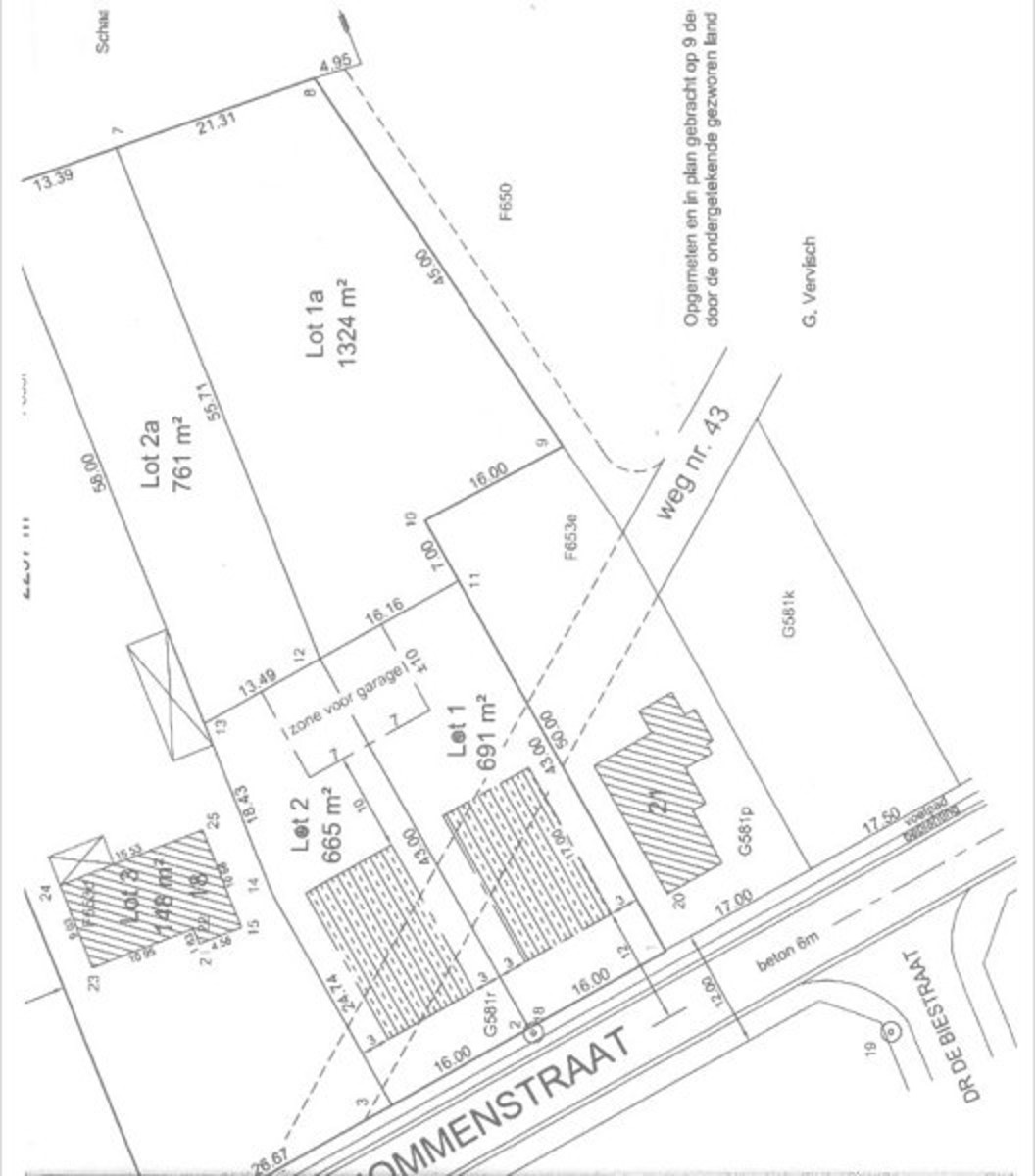
Bouwgrond voor open-bebouwing ( LOT 2 ), op een perceel van ca. 1.426m² en een straatbreedte van 16 meter, gelegen in een goedgekeurde verkaveling. Volgens kadaster gekend, sectie F nr. 653/S en nr. 653T.
Lees verder+
Prijs
€ 180 000
Grondoppervlakte
1 426m2
Alle kenmerken
Algemeen
Grondoppervlakte
1 426m2
Juridisch veld
Servitude
Vonnissen
Bouwvergunning
Verkavelingvergunning
Voorkooprecht
Terrein - bestemming
Woongebied
Dagvaarding
Dagvaardingstype
Geen rechterlijke herstelmaatregel of bestuurlijke maatregel opgelegd
Omgeving
Type buurt
Woonkern
O-Peil
Niet gelegen in een overstromingsgevoelig gebied
Overstromingsrisico 2023
Klasse A (geen kans)
P-score
A



